30 Oktyabr 2025 10:08
340
DÜNYA
A- A+
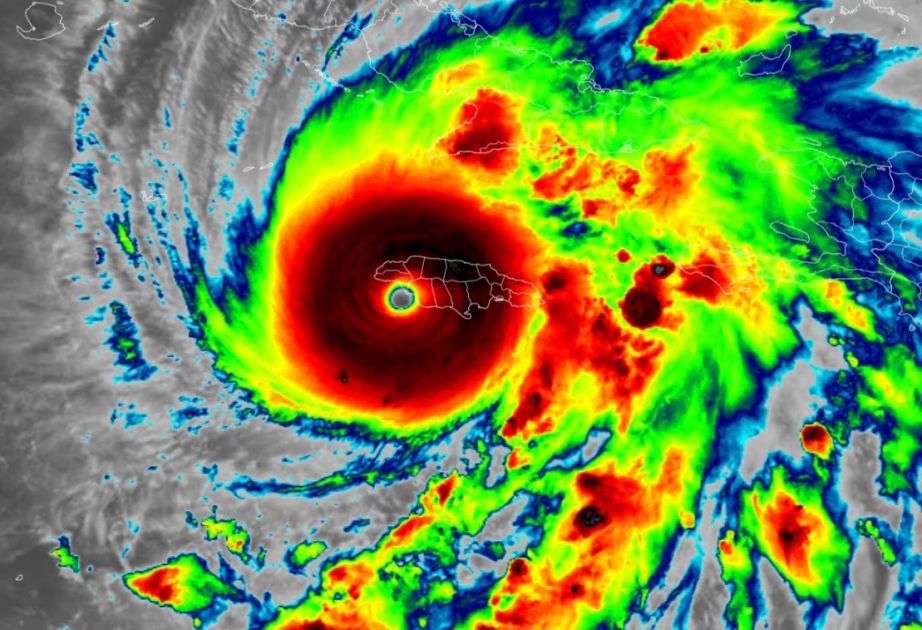
“Melissa” qasırğası nəticəsində 30-dan çox insan həyatını itirib  

“Melissa” qasırğası nəticəsində 30-dan çox insan həyatını itirib  


“Melissa” qasırğası Karib dənizi hövzəsində 30-dan çox insanın ölümünə səbəb olub.

AZƏRTAC-ın məlumatına görə, bu səhər qasırğa nəticəsində Kubada suyun səviyyəsinin yüksəlməsi nəticəsində təxminən 140 min insanla əlaqə kəsilib. Hadisə nəticəsində Haitidə 24 nəfər insan ölüb. Ötən gün qasırğadan ağır zərbə alan Yamaykada dörd nəfər fırtına zamanı, 3 nəfərə isə fırtına öncəsi hazırlıq zamanı ölüb. Dominikan Respublikasında bir nəfər həyatını itirib.

Hazırda 1-ci kateqoriyaya kimi zəifləyən qasırğa Baham adalarına doğru irəliləyir.

Digər Xəbərlər

QƏZETİN ÇAP VERSİYASI

XƏBƏR LENTİ Bütün xəbərlər

Tramp İŞİD-ə ciddi ziyan verəcəyini elan edib  

23:31
14 Dekabr

Dünya Türk Dili Ailəsi Günü münasibətilə TDT-dən təbrik mesajı  

23:02
14 Dekabr

ABŞ və Ukrayna nümayəndə heyətləri Berlində sülh danışıqlarını müzakirə edirlər  

22:53
14 Dekabr

Azərbaycanın beynəlxalq arenadakı güclü mövqeyinin göstəricisi

22:42
14 Dekabr

BMT ilk dəfə Dünya Türk Dili Ailəsi Gününü qeyd edəcək  

22:35
14 Dekabr

Heydər Əliyev Mərkəzində Özbəkistan Mədəniyyəti Günlərinin açılış mərasimi keçirilib VİDEO  

21:18
14 Dekabr

Fövqəladə Hallar Nazirliyi soyuq hava şəraiti ilə əlaqədar əhaliyə müraciət edib

19:32
14 Dekabr

Ukrayna Prezidenti sülh danışıqlarının müzakirəsi üçün Almaniyaya səfərə gəlib  

18:58
14 Dekabr

İstanbul Beynəlxalq Kitab Sərgisində Ümummilli Lider Heydər Əliyevə həsr olunan kitab sərgisi açılıb  

16:05
14 Dekabr

Media: Türkiyə qaçqınların Suriyaya qayıtması üçün üçmərhələli plan həyata keçirəcək  

13:57
14 Dekabr

Azərbaycan BMT-nin 11-ci Qlobal Forumunda təmsil olunur  

13:52
14 Dekabr

Sabah Abşeron yarımadasında leysan olacaq, rayonlarda hava əsasən yağmursuz keçəcək  

13:28
14 Dekabr

Rəcəb Tayyib Ərdoğan Türkiyə futbolundakı mərc qalmaqalı barədə danışıb  

13:05
14 Dekabr

Rumıniya nəşri : Avropanın Rusiyasız qaz dövrünə girişi başlanğıcda çətinliklə üzləşəcək  

12:46
14 Dekabr

İşğaldan azad olunmuş ərazilərdə yanğın təhlükəsizliyi ilə əlaqədar vətəndaşların maarifləndirilməsi işi davam etdirilir  

12:16
14 Dekabr

Azərbaycanda Özbəkistan Mədəniyyəti Günləri başlayır  

12:01
14 Dekabr

ABŞ Prezidenti Tailand və Kambocanı yeni tariflərlə hədələyib  

11:51
14 Dekabr

Tramp: Respublikaçılar ara seçkilərdə qalib gəlməkdə çətinlik çəkəcəklər  

11:37
14 Dekabr

Starmer və Ursula Fon der Lyayen Rusiya aktivlərinin istifadəsini müzakirə ediblər  

11:23
14 Dekabr

Almaniyada Milad yarmarkasında terror aktı planlaşdırmaqda şübhəli bilinən beş nəfər saxlanılıb  

11:01
14 Dekabr

“Uşaq Avroviziya 2025” müsabiqəsinin qalibi məlum olub  

10:47
14 Dekabr

ÇOX OXUNANLAR

OXUCU MƏKTUBLARI

NƏŞRLƏRİMİZ

TƏQVİM / ARXİV

BAŞ REDAKTORDAN

Hamımızın Azərbaycan adlı bir Vətəni var! Qoynunda dünyaya göz açdığımız, minbir nemətindən dadıb isti qucağında boya-başa çatdığımız bu əvəzolunmaz diyar azərbaycanlı adını qürur və iftixarla daşıyan hər kəs üçün müqəddəs və ülvidir.
Müzəffər Ali Baş Komandan İlham Əliyevin rəhbərliyi ilə Azərbaycan Ordusu Vətən müharibəsində zəfər çalaraq erməni işğalçılarını kapitulyasiyaya məcbur etdi, düşməni qovaraq ərazi bütövlüyünə nail oldu.
Bununla da Azərbaycan yeni inkişaf dövrünə qədəm qoydu.
Bu dövrdə dünyada mürəkkəb və ziddiyyətli proseslər davam etməkdədir!
Hələ də dünyada ədalətsizliklər mövcuddur!
Hələ də dünyada ikili standartlar var!
Hələ də dünyada güclülər zəiflərin haqqını tapdalamaq istəyir!
Odur ki, biz daima güclü olmalıyıq.
Güclü olmağın əsas şərti isə bizim birliyimizdir!
Dünyanın harasında yaşamağımızdan, hansı sahədə çalışmağımızdan asılı olmayaraq, əlbir və əlaqəli fəaliyyət göstərməyi bacarmalıyıq.
Azərbaycan naminə, onun dünyada yeri, yüksək nüfuzu uğrunda daim birlikdə mübarizə aparmalıyıq.
Yalnız bu halda anamız Azərbaycanı qoruya, yüksəldə və hamımız üçün qürur mənbəyinə çevirə bilərik.
Ulu yurdumuzun adını daşıyan "Azərbaycan" qəzeti də bu amala xidmət edir.
Əziz azərbaycanlılar! Sizi Azərbaycan naminə, övladlarımızın firavan və xoşbəxt gələcəyi uğrunda əlbir və əlaqəli fəaliyyətə çağırıram!